Resource hub
Headline
Sep 7, 2017 | Category 6 | Weather Underground
Triple Trouble: Cat 5 Irma, Cat 3 Jose, Cat 1 Katia
Headline
Sep 7, 2017 | Texas A&M Today
Texas A&M Expert: Rainfall From Harvey Shattered Every Record
Headline
Sep 7, 2017 | Washington Post
Irma and Harvey should kill any doubt that climate change is real
Headline
Sep 7, 2017 | Weather Underground
Hurricane Irma an Extreme Storm Surge Threat to the U.S. and Bahamas
Science Source
| AMS Journal of the Atmospheric Sciences
The Relationship between Sea Surface Temperature and Maximum Intensification Rate of Tropical Cyclones in the North Atlantic
Jing Xu, Yuqing Wang, and Zhe-Min Tan
Real Time Data
Sep 6, 2017 | wxmaps, GrADS, COLA
Ocean Basin Potential Minimum Central Pressure and Maximum Wind
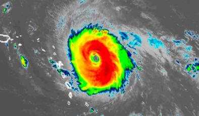
Headline
Sep 6, 2017 | Grist
Irma, the strongest Atlantic hurricane in history, keeps getting stronger
Headline
Sep 6, 2017 | Think Progress
Do we need a Category 6 rating for superhurricanes like Irma in the global warming era?
Headline
Sep 6, 2017 | U.S.
Hurricane Harvey may add to debt woes of U.S. flood insurance program
Headline
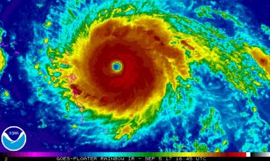
Sep 6, 2017 | Category 6 | Weather Underground
Extremely Dangerous Cat 5 Irma Storms into Leeward Islands
Headline
Sep 6, 2017 | Category 6 | Weather Underground
Category 5 Irma the 5th Strongest Atlantic Hurricane on Record
Headline
Sep 6, 2017 | NPR.org
Hurricane Irma Pushes Toward Puerto Rico, With Florida In Its Sights
