Resource hub
Real Time Data
Sep 5, 2017 | Cal Fire | US Forest Service
California Tree Mortality Viewer
Science Source
| Emerging Microbes & Infections
Dengue burden in India: recent trends and importance of climatic parameters
Srinivasa Rao Mutheneni, Andrew P Morse, Cyril Caminade et al
Headline
Sep 5, 2017 | The Guardian
Floods in drought season: is this the future for parts of India?
Headline
Sep 5, 2017 | CBS News via Associated Press
Wildfires surge amid scorching heat across Western states
Headline
Sep 5, 2017 | CBS News
La Tuna fire tears through 7,000 acres and 3 homes
Headline
Sep 5, 2017 | latimes.com
Weather delivers blow to La Tuna fire's spread: 'Mother Nature kicked in'
Headline
Sep 5, 2017 | The Weather Channel
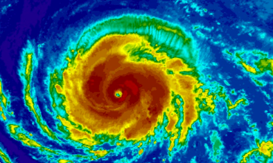
Category 4 Hurricane Irma a Growing Threat for U.S.; Hurricane Warnings Issued for Leeward Islands, Puerto Rico and Virgin Islands
Headline
Sep 5, 2017 | Category 6 | Weather Underground
Heat, Smoke, and Fire Assault Western States: All-Time Record Heat in California
Headline
Sep 4, 2017 | The Weather Channel
Florida Governor Declares State of Emergency Ahead of Possible Hurricane Irma Strike
Headline
Sep 4, 2017 | Think Progress
Historic heat wave pushes California’s grid to the limit
Headline
Sep 4, 2017 | Los Angeles Times
Record heat, lightning, fires, intense rain: California's extreme weather gets wilder
Headline
Sep 4, 2017 | Mashable
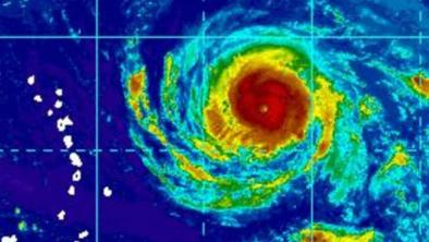
Powerful Hurricane Irma is a growing threat to the East Coast, but details still unclear
