Resource hub
Headline
Sep 5, 2017 | The Weather Channel
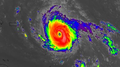
Category 4 Hurricane Irma a Growing Threat for U.S.; Hurricane Warnings Issued for Leeward Islands, Puerto Rico and Virgin Islands
Headline
Sep 5, 2017 | Category 6 | Weather Underground
Heat, Smoke, and Fire Assault Western States: All-Time Record Heat in California
Headline
Sep 4, 2017 | The Weather Channel
Florida Governor Declares State of Emergency Ahead of Possible Hurricane Irma Strike
Headline
Sep 4, 2017 | Think Progress
Historic heat wave pushes California’s grid to the limit
Headline
Sep 4, 2017 | Los Angeles Times
Record heat, lightning, fires, intense rain: California's extreme weather gets wilder
Headline
Sep 4, 2017 | Mashable
Powerful Hurricane Irma is a growing threat to the East Coast, but details still unclear
Headline
Sep 4, 2017 | Grist
Hurricane Irma is a monster storm. Here’s where it might be headed.
Headline
Sep 4, 2017 | Santa Rosa Press Democrat
Santa Rosa sets a new high temperature record
Event
Sep 4, 2017
La Tuna Fire September 2017
Headline
Sep 4, 2017 | The Mercury News
Bay Area heat wave: All-time record smashed in San Francisco, Livermore hits 114
Headline
Sep 4, 2017 | The San Francisco Examiner
38 hospitalized for heat-related illnesses in SF
Event
Sep 4, 2017
California Statewide Heat Wave September 2017
