Resource hub
Headline
Aug 31, 2017 | Los Angeles Times
Heat wave, winds and low humidity fuel wildfires across California
Headline
Aug 31, 2017 | Washington Post
United States to give Ethiopia $91 million in drought aid for food and medicine
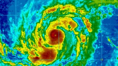
Headline
Aug 31, 2017 | The Weather Channel
Irma Settles as a 115 MPH Category 3 Atlantic Hurricane in the Eastern Atlantic
Headline
Aug 31, 2017 | Weather Underground
No Longer a Tropical Storm, Harvey Leaves Texas Reeling
Headline
Aug 31, 2017 | Huffington Post
Houston Flooding Always Hits Poor, Non-White Neighborhoods Hardest
Science Source
| American Journal of Orthopsychiatry
Posttraumatic Stress Symptoms in Children After Hurricane Katrina: Predicting the Need for Mental Health Services
Howard J. Osofsky, Joy D. Osofsky, Mindy Kronenberg et al
Science Source
| Journal of Clinical Child and Adolescent Psychology
Reactive aggression and posttraumatic stress in adolescents affected by Hurricane Katrina
Marsee, M.A.
Headline
Aug 31, 2017 | The New York Times
In Sweltering South, Climate Change Is Now a Workplace Hazard
Headline
Aug 31, 2017 | The Atlantic
How Hurricane Harvey Will Affect Schoolchildren
Headline
Aug 31, 2017 | The Weather Channel
Tropical Storm Harvey River Flooding Shatters Records and Could Last For Days
Headline
Aug 31, 2017 | Washington Post
Harvey has unloaded 24.5 trillion gallons of water on Texas and Louisiana
Headline
Aug 30, 2017 | The Atlantic
Will Flooding In Texas Lead To More Mosquito-Borne Illness?
