Resource hub
Headline
Oct 19, 2016 | Health News Florida
King Tide Flooding Brings Pleas For South Florida Climate Change Plan, Funding
Headline
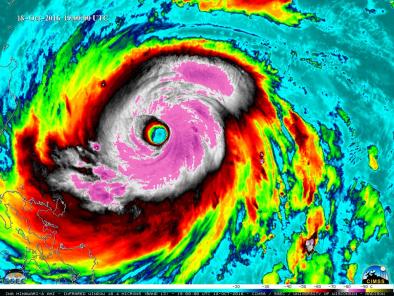
Oct 19, 2016 | The Weather Channel
Typhoon Haima (Lawin) Makes Landfall in the Northern Philippines With 140 MPH Winds
Headline
Oct 19, 2016 | USA Today
Typhoon Haima slams into the Philippines
Headline
Oct 19, 2016 | Category 6
Haima Slams into Northern Philippines
Headline
Oct 19, 2016 | Robert Scribbler
Haima, A Storm Nearly as Powerful as Haiyan, Barrels Toward Philippines
Headline
Oct 19, 2016 | Wall Street Journal
Philippines Hunkers Down for Supertyphoon Haima
Headline
Oct 19, 2016 | Indiana Public Media
Monday Sets New Record High Minimum Temperature
Headline
Oct 19, 2016 | Elite Daily
It's Never Been This Hot In October Before, And It's Only Going To Get Hotter
Headline
Oct 19, 2016 | WxShift
The Hottest Months on Record Have Something in Common
Headline
Oct 19, 2016 | Category 6
Global Temperature Just Short of Record in September, Says NOAA
Headline
Oct 19, 2016 | The Weather Channel
Record Warmth in the Midwest, South and East From a Strong Dose of Indian Summer; Fall Weather Returns Later This Week
Headline
Oct 19, 2016 | Washington Post via Associated Press
Haiyan-like deluge feared as super typhoon nears Philippines
