Resource hub
Headline
Oct 19, 2016 | Washington Post
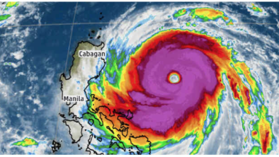
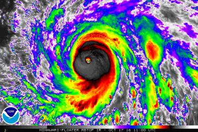
Super Typhoon Haima is a beast, and it’s on a collision course with the Philippines
Headline
Oct 18, 2016 | The Weather Channel
Super Typhoon Haima (Lawin) Reaches Category 5 Strength; Targets Northern Philippines
Headline
Oct 18, 2016 | Category 6
Twin Typhoons in Philippines
Headline
Oct 18, 2016 | Category 6
Super Typhoon Haima Takes Aim on Philippines
Headline
Oct 18, 2016 | News 7
King tides cause flooding across South Florida
Headline
Oct 18, 2016 | Palm Beach Post
Delray residents get King Tide insight: ‘We have to get ahead of this’
Headline
Oct 18, 2016 | WPLG
King tide causes big problems for Miami Beach businesses
Headline
Oct 18, 2016 | NBC News
October heat wave could shatter 50 records or more
Headline
Oct 18, 2016 | Category 6
Hundred-Degree Heat in Plains
Headline
Oct 18, 2016 | The Weather Channel
Record Warmth in the Plains, Midwest, South and East From a Strong Dose of Indian Summer Early Week
Headline
Oct 17, 2016 | News On 6
October Heat Wave Setting Records
Headline
Oct 17, 2016 | Mashable
In a shock to no one, September was warmest such month on record
