Resource hub
Headline
Sep 12, 2016 | CNN
North Korea makes rare public appeal for flood relief
Headline
Sep 12, 2016 | NOAA Climate.gov
Heavy downpours more intense, frequent in a warmer world
Headline
Sep 12, 2016 | WxShift
August Ties July as Hottest Month Ever on Record
Headline
Sep 12, 2016 | Mashable
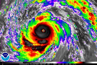
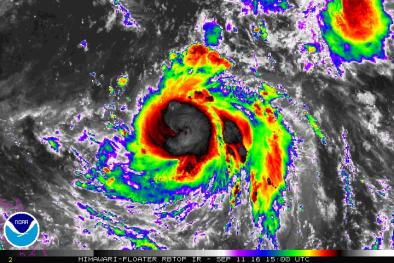
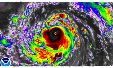
Category 5 Super Typhoon Meranti is strongest storm of 2016 season
Headline
Sep 12, 2016 | Weather Underground
Category 5 Meranti Threatens Taiwan
Headline
Sep 12, 2016 | The Weather Channel
Super Typhoon Meranti Rapidly Intensifies Into Category 5, Dangerous Threat to Taiwan, China and Northern Philippines Early This Week
Headline
Sep 12, 2016 | ABC News via Associated Press
Weeks After Louisiana Flooding, 850 People Still in Shelters
Headline
Sep 12, 2016 | The Guardian
Louisiana governor requests bailout as flood costs rise to $15bn
Headline
Sep 12, 2016 | Washington Post
New York, Philadelphia, and D.C. just endured a historically warm September night
Headline
Sep 12, 2016 | AccuWeather
Super Typhoon Meranti to strike Taiwan with flooding rain, damaging winds Wednesday
Headline
Sep 12, 2016 | Weather Underground
Rapid Intensification Watch: Orlene and Meranti Spin Up in Pacific
Headline
Sep 9, 2016 | Viet Nam News
Water is a commodity
