Resource hub
Headline
Jul 7, 2016 | Climate Central
Heat Wave Lifts June to Record Hot Temp for U.S.
Headline
Jul 7, 2016 | Post and Courier
Heat wave to hit its peak Friday, Saturday with temperatures near or at 100
Headline
Jul 7, 2016 | WxShift
The East is Having Its First Heat Wave of the Summer
Headline
Jul 7, 2016 | WxShift
Super Typhoon Brings Torrential Rains to Taiwan
Headline
Jul 7, 2016 | Twitter
#Nepartak has made landfall 5 miles southwest of Taitung City, Taiwan, with estimated winds of 125 mph (210 km/h)
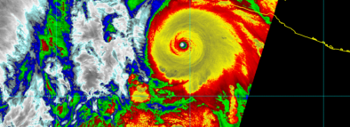
Headline
Jul 7, 2016 | Weather Underground
Nepartak Holding on to Category 5 Strength Just Hours Before Landfall in Taiwan
Headline
Jul 7, 2016 | The Atlantic
Australia’s Other Great Reef Is Also Screwed
Headline
Jul 7, 2016 | The Weather Network
Fort McMurray fire costliest disaster for Canadian insurers
Headline
Jul 7, 2016 | International Research Institute for Climate and Society
International Research Institute for Climate and Society
Headline
Jul 7, 2016 | Weather Underground
Super Typhoon Nepartak May Be Strongest Taiwan Landfall in 16 Years; Heavy Rain A Threat in Eastern China
Headline
Jul 7, 2016 | Sun Herald
Heat record set, advisory extended in South Mississippi
Headline
Jul 7, 2016 | WPTV
Dangerous heat wave hits South Florida
