Resource hub
Headline
Jul 6, 2016 | Mashable
Beastly Category 5 Super Typhoon Nepartak is headed right for Taiwan
Headline
Jul 6, 2016 | USA Today
Super Typhoon Nepartak forecast to batter Taiwan
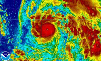
Headline
Jul 6, 2016 | Weather Underground
East and West Pacific Tropical Cyclone Seasons Begin With a Bang
Headline
Jul 6, 2016 | Los Angeles Times
California wildfires burn more than 50,000 acres as crews make gains on containment
Headline
Jul 6, 2016 | USA Today
2 months later, massive Canadian wildfire finally 'under control'
Headline
Jul 6, 2016 | WxShift
Typhoon Nepartak Ends Record-Long Quiet Period for Northwest Pacific
Headline
Jul 6, 2016 | Weather Underground
Super Typhoon Nepartak Takes Aim at Taiwan
Headline
Jul 5, 2016 | Reno Gazette Journal
Massive air attack barely saves Nevada town from fire
Headline
Jul 5, 2016 | idaho Statesman
Idaho wild fire season begins to build momentum
Headline
Jul 5, 2016 | Forbes
What Is The Hottest Place On Earth And Did It Just Break A Record?
Headline
Jul 5, 2016 | Fresno Bee
June was a scorcher: Fresno heat wave broke summer records early
Headline
Jul 5, 2016 | UN News Service Section
Floods deal ‘staggering’ blow to pastoralists recovering from Ethiopia’s long drought
