Powerful Hurricane Irma is a growing threat to the East Coast, but details still unclear
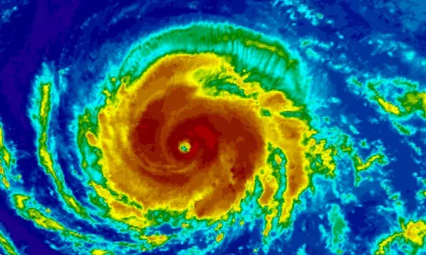
The last thing the U.S. needs now, in the wake of devastating Hurricane Harvey in Texas and Louisiana, is another major storm. But that's exactly the scenario that is a growing possibility late in the week as Hurricane Irma, which has already reached "major" hurricane status as a Category 3 or greater storm, moves west toward the Leeward Islands and the Bahamas.
...
Here's what is known with a high degree of confidence. Hurricane Irma is a strong storm, and may get stronger as it moves toward the Leeward Islands. Computer models nearly universally intensify it to a Category 4 or 5 beast, and also project that it will transition from a compact hurricane to one with a broader circulation, which would make it more capable of producing a damaging storm surge.
Related Content
