Rapid Intensification Watch: Orlene and Meranti Spin Up in Pacific
Meranti’s top winds, as reported by the Joint Typhoon Warning Center using the 1-minute U.S. standard, jumped from 40 to 85 mph in the 24 hours leading up to 12Z Sunday. This meets the National Hurricane Center (NHC) definition of rapid intensification: an increase in the maximum sustained winds of a tropical cyclone of at least 30 knots (35 mph) in 24 hours.
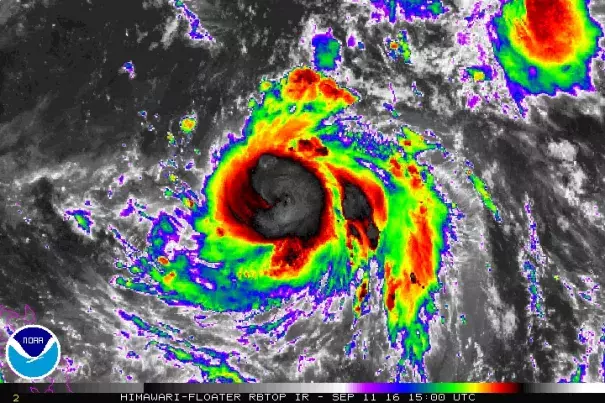
Meranti’s central core of showers and thunderstorms (convection) is expanding and consolidating quickly, with excellent upper-level outflow evident on satellite. Sea surface temperatures will be holding near 30°C (86°F) along Meranti’s path. Mid-level relative humidity will climb from around 70% toward 80%, and wind shear will be dropping to or below 10 knots. All of these factors point toward Meranti becoming a formidable typhoon.
...
JTWC predicts that rapid intensification may continue over the next 24 - 48 hours, with an expected Category 4 strength of at least 125 knots (145 mph) by the time of Meranti’s projected landfall in Taiwan on Wednesday local time. On average, Taiwan gets a landfalling typhoon this strong about once per year, with 14 such landfalls occurring between 2000 and 2015. The 00Z Sunday runs of the GFS, European, and UKMET models all predict that Meranti will be a major typhoon passing across or near southern Taiwan, with the UKMET keeping Meranti just offshore. Although Taiwan’s largest city, Taipei, is located near the north tip of the island, the second-largest city, Kaohsiung, is in the far southwest. Even in this well-prepared nation, a major typhoon can cause significant damage and loss of life. Meranti should recurve along or near the coast of eastern China later in the week, perhaps dumping 10” or more of rain as far north as Shanghai and across parts of Japan
Related Content
